1832-1840
Basevi, Bonnin and Phillips
Long Closure Ratio (A): 12.3:1
Radius Closure Ratio (A):
Green 150 ft. by 445 ft. at apexes.
Face to Face: 505 longitudinally
Radius to Face: 180 ft.: 4.4:1
Height A: 41 ft.
Height B: 43 ft.
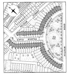
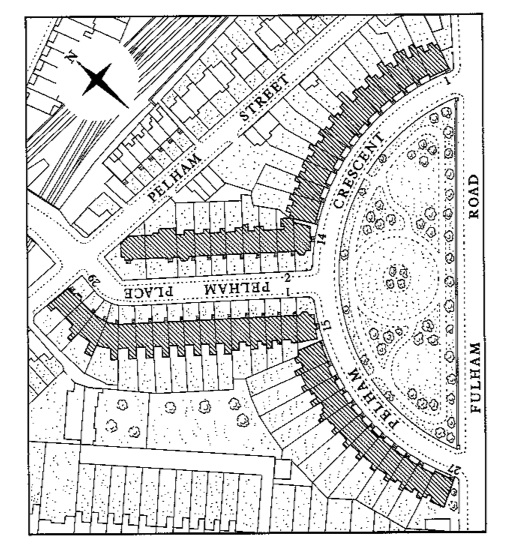
27 houses on Crescent
Pelham Crescent is a fine example of an early London crescent built about sixty years after the Royal Crescent in Bath and ten years after Park Crescent which had been developed by the British Crown. In 1832 two nurserymen in the area filed bankruptcy within the holdings of Smith’s Charity Estate, and the western lands of the estate came under the design control of George Basevi, Jr., architect, and James Bonnin, builder in 1833. Francis Phillips was apparently the money partner and primary speculator. The overall design provides a continuous repetition of evenly spaced two column (highly detailed with palm
leaf capitals) porches 10 ft high which are asymmetrically placed on attached three and a half story high townhomes. Slight changes in plane and articulation creates a rhythm of ABBBBBBBBBBCD on each side of the crescent. Balusters grace the cornice line on the B and D units, whereas the parapets are solid on the Cs.
The only significant variation on the ground plan occurred at the ends of the crescent where the entries are attached to a one story extension. The end modules of the crescent are articulated by two story elongated flat Tuscan columns, and the intervening skin is an unadorned (except for a band below the third story windows) continuous curving plane with a continuous balcony at the second floor. Each townhome has a pierced alcove on one side to give views to a unique first floor balcony.
The overall development layout is well executed, and provides sensitive pedestrian and vehicular connectivity to Pelham Place at the apex of the crescent. The overall assemblage is a good example of subtle transition to a less dense section of the neighborhood. There is a great sense of fit between the parts, and this sense is accentuated by the constant use of white plaster on the exterior.
The original structures were under strict restrictions requiring repainting every four years and no alternations without consent. The beautifully maintained crescent green and garden originally provided a communal garden for both occupants on the Crescent and Pelham Place under 80 year leases.
From the point of view of orientation, the townhomes face first on the crescent formed park and thus only in a secondary sense on Fulham Road. The crescent park itself fronts on Fulham and provides a buffer to its significant traffic. The townhomes are 19 ft 7 inches wide at the front stoop, and face an 11 ft wide sidewalk and a 19 ft wide one-way street and parking zone.



